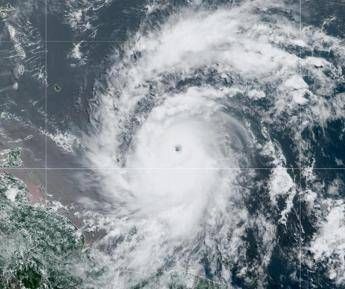
L'urgano Beryl, il primo del 2024, aumenta di intensità e diventa di Categoria 4. Beryl, con venti che soffiano a oltre 200 chilometri orari, si dirige verso le Isole Windward, a circa 2500 km da Miami. Come evidenzia la Cnn, mai era stato segnalato un uragano di Categoria 4 nell'Atlantico nel mese di giugno. I modelli indicano un'alta probabilità di tempeste tropicali nelle prossime ore sulle Isole Windward, che si trovano a circa 570 km a sud-est delle Barbados, dove è già in vigore l'allerta: stesso provvedimento già scattato a Saint Lucia, Saint Vincent and Grenadine Islands, Grenada, Tobago.Â
Â

